Les courses enfants
COURSE A PIED | 100% NATURE | DE 6 A 13 ANS

LA COURSE

La Frileuse (Fun Race by Ecorun) est déclinée en 4 parcours de 400 m à 2 km [entre 6 et 13 ans] dans l’enceinte du site d’entrainement militaire de la Frileuse (Beynes). Les courses enfants ne sont pas chronométrées.

LES PARCOURS PAR TRANCHE D’ÂGE

6-7 ans
400 m
8-9 ans
800 m
10-11 ans
1200 m
12-13 ans
2 km

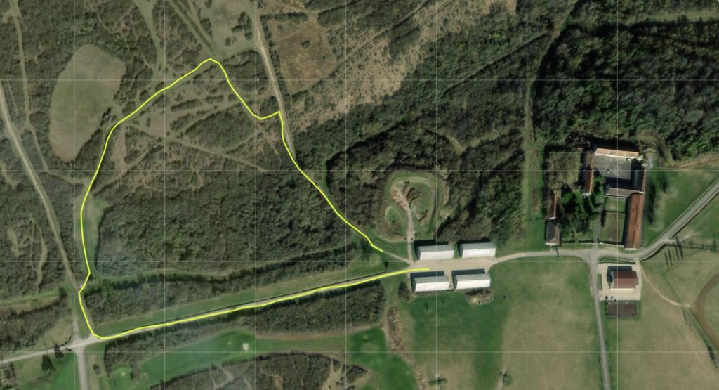
LE PARCOURS

  Parcours des courses 6-7 ans et 8-9 ans
Parcours des courses 10-11 ans et 12-13 ans
Départ Ravitaillement
  • 1 à l’arrivée
Arrivée
  • Site : face au hangar N° 213 du camp militaire de la Frileuse à Beynes
Distance
jusqu’à 2 km 

Dénivelé positif 
0 m 

Nombre de participants
200 enfants

LES PHOTOS DE 2024

L'ECORUN FRILEUSE 2025 EN PHOTOS

Ecorun.fr | Course à pied PARIS (75) | Course à pied Versailles (78) | Course à pied nature | Course à pied forêt | Cross ouest parisien | Trail à PARIS (75) | Magasins Running Trail | Boutiques Running Trail